78 Amazing Stenopterus Rufus Syriacus
Stenopterus rufus syriacus The first two segments of their antennae are black the color of the following ones is variable but generally yellow with items III to V black. Stenopterus rufus rufus Linnaeus 1767 Stenopterus rufus rufus var.
Nature Du Gard Les Coleopteres Anthicus Antherinus Linnaeus 1760 Anthicidae
31 Stenopterus flavicornis Küster 1846 32 Stenopterus rufus syriacus Pic 1892 33 Lampropterus femoratus Germar 1824 34 Procallimus distinctipes Pic 1906 35 Certallum ebulinum Linnaeus 1767 36 Certallum thoracicum Sharp 1880 37 Deilus fugax Olivier 1790 38 Aromia moschata ambrosiaca Stevens 1809.

Stenopterus rufus syriacus. Ang Stenopterus rufus sakop sa kahenera nga Stenopterus ug kabanay nga Cerambycidae. Free and Open Access to Biodiversity Data. Stenopterus rufus Linnaeus 1767 Subspecies. Stenopterus rufus syriacus
Stenopterus similatus mehli. Stenopterini Fairmaire 1868 Genus. Nigricornis Depoli 1926 Stenopterus rufus rufus var. Stenopterus rufus syriacus
2 june 2012_____ 699 the longhorned beetles that originally described from whole territories of turkey coleoptera. Caubeti Podaný 1957 Stenopterus rufus rufus var. Stenopterus flavicornus Bahíllo 1992. Stenopterus rufus syriacus
Stenopterus rufus Linnaeus 1767. Class Insecta subclass Pterygota infraclass Neoptera superorder Holometabola order Coleoptera suborder Polyphaga infraorder Cucujiformia superfamily Chrysomeloidea family Cerambycidae subfamily Cerambycinae tribe Stenopterini genus Stenopterus species Stenopterus rufus. Stenopterus rufus Linnaeus 1767 Type locality. Stenopterus rufus syriacus
Stenopterus rufus syriacus Pic 1892. Cerambycinae Latreille 1802 Tribus. View top-quality stock photos of Stenopterus Rufus Syriacus Beetle. Stenopterus rufus syriacus
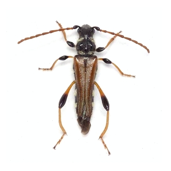
Stenopterus rufus can reach a length of 716 millimetres 028063 in. Stenopterus rufus can reach a length of 716 millimetres 028063 in. Antennae are about as long as the body and clearly segmented. Stenopterus rufus syriacus
Stenopterus rufus syriacus beetle purchaseLicenseLabel restrictedAssetLabel buyOptionLabeloption You have view only access under this Premium Access agreement. Antennae are about as long as the body and clearly segmented. Stenopterus rufus transcaspicus Plavilstshikov 1940. Stenopterus rufus syriacus
Stenopterus rufus syriacus beetle - crown daisy stock pictures royalty-free photos images. Synonym according to EOL Dynamic Hierarchy 11 and EOL Dynamic Hierarchy 11. Elytra are very narrow. Stenopterus rufus syriacus
The head and pronotum are black colored and the abdomen has a black background color horizontally crossed by yellow stripes. Cerambycoidea part ii. Cavalairensis Jurecek Stenopterus rufus rufus var. Stenopterus rufus syriacus
Stenopterus rufus syriacus Pic 1892. Stenopterus ater 1 Stenopterus atricornis 1 Stenopterus creticus 1 Stenopterus flavicornis 1 Stenopterus rufus rufus 1 Stenopterus rufus syriacus 1 Stenorhopalus macer 1 Stenorhopalus virescens 1 Stenosphenus lugens 1 Stenostola anomala 2 Stenostola argyrosticta 1. Media in category Stenopterus rufus The following 40 files are in this category out of 40 total. Stenopterus rufus syriacus
Kingdom Animalia - animals phylum Arthropoda - arthropods class Insecta - insects order Coleoptera - beetles family Cerambycidae - longhorn beetles genus Stenopterus species Stenopterus rufus. Una ning gihulagway ni Carl von Linné ni adtong 1767. Necydalis rufa Linnaeus 1767 Original combination Leptura attenuata Geoffroy 1785 non Linnaeus 1758. Stenopterus rufus syriacus
Stenopterus rufus syriacus beetle - stock photo. Species recognized by GBIF classification. Global Biodiversity Information Facility. Stenopterus rufus syriacus
Contact your company to license this image. Geniculatus Kraatz 1863 Stenopterus rufus rufus var. Stenopterus Illiger 1804 Species. Stenopterus rufus syriacus
Meridionalis Ragusa Stenopterus rufus rufus var. Ang kaliwatan gibahinbahin ngadto sa matang nga nahiubos. Reference taxon from TITAN in Species 2000 ITIS Catalogue of Life. Stenopterus rufus syriacus
Stenopterus rufus syriacus Pic 1903. The body has a velvet-like hair. Kaliwatan sa bakukangon ang Stenopterus rufus. Stenopterus rufus syriacus
Crown daisy plantation - crown daisy stock pictures royalty-free photos images. Braunrötlicher Spitzdeckenbock Stenopterus rufus 0938jpg 2992 2000. The body has a velvet-like hair. Stenopterus rufus syriacus
Stenopterus flavicornis Küster 1846. Find premium high-resolution stock photography at Getty Images. Springtime blossom at the mediterranean sea - crown daisy stock pictures royalty-free photos images. Stenopterus rufus syriacus
Europa australi Synonyms. Elytra are very narrow. říše Animalia - živočichové kmen Arthropoda - členovci třída Insecta - hmyz řád Coleoptera - brouci čeleď Cerambycidae - tesaříkovití rod Stenopterus druh Stenopterus rufus - tesařík rudokrový. Stenopterus rufus syriacus
Italia Switzerland Longhornbeetles
Cerambycidae New Israel S Nature Site
Stenopterus Rufus Linnaeus 1767 Mi Blog De Bichos
Https Www Munisentzool Org Yayin Vol12 Issue2 Vol12issue2 6132776 Pdf
Stenopterus Biodiversity Map Taxa Illustrations
Coke Som Smith Photography Travelogue Our Trips Asia Africa South America Australia North America Europe Arctic Antartica Quick Links Life Lists Published Images Som S Cookbook Naturetraveler Msn Com Cerambycidae Collection
Category Stenopterus Rufus Wikimedia Commons
Longhorn Beetle Cerambycinae Stenopterini
Cerambycinae Stenopterini Stenopterus Rufus Syriacus Worldwide Cerambycidae Photo Gallery
Stenopterus Ater Linnaeus 1767 Mi Blog De Bichos
Nature Du Gard Les Coleopteres Stenoptere Roux Stenopterus Rufus Linnaeus 1767 Cerambycidae


